Already having caused widespread damage and flooding across western Cuba, Hurricane Ian has been moving strongly towards Florida as the state prepares for a ’life-threatening’ storm to pass over before it makes landfall later in the day. As the cyclonic storm is expected to strengthen into a catastrophic Category 4 storm after approaching Florida, shocking images and visuals have also been surfacing on the internet showing the devastating nature of the cyclone. In a video recently shared by the National Oceanic and Atmospheric Administration (NOAA), the satellite visuals show striking footage of the hurricane as it tears over the Gulf of Mexico. In the shocking satellite footage which was picked up by both NASA as well as NOAA’s GOES-16 satellite on Tuesday, it shows Hurricane Ian swirling over the southeastern Gulf of Mexico and further picking up numerous lightning bolts around the hurricane’s eye. Check the video here:
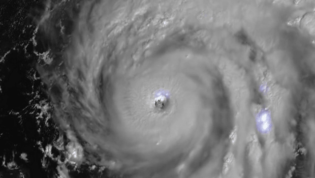
As #HurricaneIan churns near Cuba, #GOESEast can see its distinct eye as well as #lightning flashing around the storm.#Ian is a major Category 3 #hurricane that is continuing to strengthen in the southeastern Gulf of Mexico.
— NOAA Satellites (@NOAASatellites) September 27, 2022
Latest: https://t.co/FYrreOueMf pic.twitter.com/Rh85xqu0Rt
“As Hurricane Ian churns near Cuba, GOES East can see its distinct eye as well as lightning flashing around the storm. Ian is a major Category 3 hurricane that is continuing to strengthen in the southeastern Gulf of Mexico”, the caption read. Hurricane Ian moves toward Florida after wreaking havoc in parts of western Cuba Earlier on Tuesday, after growing in strength from a tropical storm to a Category 3 hurricane within a single day, Hurricane Ian tore into parts of western Cuba with storm-force winds and rains. Wreaking havoc on the Pinar del Rio province after making landfall, the hurricane also knocked out power to the entire country, leaving the people in a state of distress. However, it didn’t stop here and is presently moving strongly toward Florida over Gulf waters where it is expected to strengthen into a catastrophic Category 4 storm. Keeping in view a prediction that the eye will make landfall in the southern peninsula, the administration has asked the people around the southwest coast of Florida to evacuate and move to safer places.
Here are the 11 PM EDT 9/27 Key Messages for Hurricane #Ian. Conditions are expected to continue to deteriorate across central and south Florida tonight. pic.twitter.com/u7rBXatfoH
— National Hurricane Center (@NHC_Atlantic) September 28, 2022
In its advisory issued late Tuesday night, the National Hurricane Centre said, “On the forecast track, the center of Ian is expected to pass west of the Florida Keys within the next few hours, and approach the west coast of Florida within the hurricane warning area on Wednesday.” Read all the Latest News , Trending News , Cricket News , Bollywood News , India News and Entertainment News here. Follow us on Facebook, Twitter and Instagram.


)

)
)
)
)
)
)
)
)
