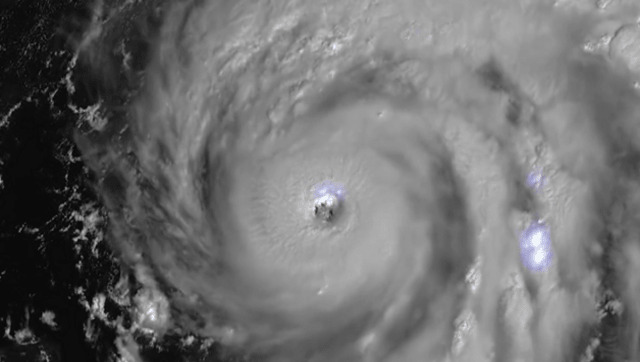
St. Petersburg: Hurricane Ian, one of the most powerful storms ever recorded in the US, swamped southwest Florida on Wednesday, turning streets into rivers, knocking out power to 1.8 million people and threatening catastrophic damage further inland. A coastal sheriff’s office reported that it was getting many calls from people trapped in flooded homes. Desperate people posted to Facebook and other social sites, pleading for rescue for themselves or loved ones. Some video showed debris-covered water sloshing toward homes’ eaves. The hurricane’s center made landfall near Cayo Costa, a barrier island just west of heavily populated Fort Myers. As it approached, water drained from Tampa Bay. Mark Pritchett stepped outside his home in Venice around the time the hurricane churned ashore from the Gulf of Mexico, about 35 miles (55 kilometers) to the south. He called it “terrifying.” “I literally couldn’t stand against the wind,” Pritchett wrote in a text message. “Rain shooting like needles. My street is a river. Limbs and trees down. And the worst is yet to come.” The Category 4 storm slammed the coast with 150 mph (241 kph) winds and pushed a wall of storm surge accumulated during its slow march over the Gulf. More than 1.8 million Florida homes and businesses were without electricity, according to PowerOutage.us . Nearly every home and business in three counties was without power. The storm previously tore into Cuba, killing two people and bringing down the country’s electrical grid. About 2.5 million people were ordered to evacuate southwest Florida before Ian hit, but by law no one could be forced to flee. News anchors at Fort Myers television station WINK had to abandon their usual desk and continue storm coverage from another location in their newsroom because water was pushing into their building near the Caloosahatchee River. Though expected to weaken to a tropical storm as it marches inland at about 9 mph (14 kph), Ian’s hurricane force winds were likely to be felt well into central Florida. Hours after landfall, top sustained winds had dropped to 105 mph (170 kph), making it a Category 2 hurricane. Still, storm surges as high as 6 feet (2 meters) were expected on the opposite side of the state, in northeast Florida. Sheriff Bull Prummell of Charlotte County, just north of Fort Myers, announced a curfew between 9 p.m. and 6 a.m. “for life-saving purposes,” saying violators may face second-degree misdemeanor charges. “I am enacting this curfew as a means of protecting the people and property of Charlotte County Prummell said. Jackson Boone left his home near the Gulf coast and hunkered down at his law office in Venice with employees and their pets. Boone at one point opened a door to howling wind and rain flying sideways. “We’re seeing tree damage, horizontal rain, very high wind,” Boone said by phone. “We have a 50-plus-year-old oak tree that has toppled over.” In Naples, the first floor of a fire station was inundated with about 3 feet (1 meter) of water and firefighters worked to salvage gear from a firetruck stuck outside the garage in even deeper water, a video posted by the Naples Fire Department showed. Naples is in Collier County, where the sheriff’s department reported on Facebook that it was getting “a significant number of calls of people trapped by water in their homes” and that it would prioritize reaching people “reporting life threatening medical emergencies in deep water.” Ian’s strength at landfall tied it for the fifth-strongest hurricane when measured by wind speed to strike the US. Among the other storms was Hurricane Charley, which hit nearly the same spot on Florida’s coast in August 2004, killing 10 people and inflicting $14 billion in damage. Ian made landfall more than 100 miles (160 kilometers) south of Tampa and St. Petersburg, sparing the densely populated Tampa Bay area from its first direct hit by a major hurricane since 1921. Flash floods were possible all across Florida. Hazards include the polluted leftovers of Florida’s phosphate fertilizer mining industry, more than 1 billion tons of slightly radioactive waste contained in enormous ponds that could overflow in heavy rains. The federal government sent 300 ambulances with medical teams and was ready to truck in 3.7 million meals and 3.5 million liters of water once the storm passes. “We’ll be there to help you clean up and rebuild, to help Florida get moving again,” President Joe Biden said Wednesday. “And we’ll be there every step of the way. That’s my absolute commitment to the people of the state of Florida.” The governors of Virginia, Georgia, South Carolina and North Carolina all preemptively declared states of emergency. Forecasters predicted Ian will turn toward those states as a tropical storm, likely dumping more flooding rains into the weekend, after crossing Florida. Read all the Latest News , Trending News , Cricket News , Bollywood News , India News and Entertainment News here. Follow us on Facebook , Twitter and Instagram .
)