Trending:

Cyclone Amphan to make landfall today; West Bengal evacuates over 3 lakh people from three coastal districts

Press Trust of India May 20, 2020, 07:46:47 IST

West Bengal on Tuesday mounted one of its biggest evacuation exercises by moving more than three lakh people to safer places as the extremely severe cyclonic storm ‘Amphan’ roared towards the coastal areas of the state, officials said.

Advertisement
Cyclone Amphan to make landfall today; West Bengal evacuates over 3 lakh people from three coastal districts

Kolkata: West Bengal on Tuesday mounted one of its biggest evacuation exercises by moving more than three lakh people to safer places as the extremely severe cyclonic storm ‘Amphan’ roared towards the coastal areas of the state, officials said. West Bengal Chief Minister Mamata Banerjee said more than three lakh people from three coastal districts have been moved to safety and all steps are being taken to deal with any eventuality arising out of cyclone ‘Amphan’, which was scaled down from a super cyclone to an extremely severe cyclonic storm after it lost some of its steam on Tuesday afternoon. Banerjee said she spoke to Union Home Minister Amit Shah during the day about the impending natural calamity in the state. During cyclone ‘Bulbul’ in 2019, the state government had evacuated 1.8 lakh people, she told a press conference here during the day. There are around 100 cyclone shelters spread across the coastal districts of North 24 Parganas, East Midnapore and South 24 Parganas, officials said. “Most of the cyclone shelters are already full of quarantined migrant workers who have returned due to the lockdown forced by the COVID-19 pandemic. So we are using schools and colleges as shelters,” an official said. Given the COVID-19 pandemic, the government has distributed more than two lakh masks among the evacuees and personal protective equipment (PPE) kits have been handed out to the State Disaster Relief Force personnel, who have been deployed in the vulnerable areas, a senior official said. North 24 Parganas and East Midnapore districts are two COVID hotspot districts due to high prevalence of positive cases. The state has put the coastal districts of East Midnapore, North and South 24 Parganas, including the Sundarbans on high alert, Disaster Management Minister Javed Khan said. The Meteorological (MeT) Department has issued an “orange message” for West Bengal and warned of extensive damage in Kolkata, Hooghly, Howrah, South and North 24 Parganas and East Midnapore districts.

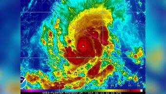
The impending cyclone has already triggered mild to medium rainfall in several parts of the state. The wind speed and the intensity of rain is likely to increase gradually as the cyclone ‘Amphan’ system crosses the West Bengal-Bangladesh coasts between Digha in West Bengal and Hatia Islands in Bangladesh in the afternoon or evening of Wednesday, the MeT Department said. The cyclonic storm will have a maximum sustained wind speed of 155 kmph to 165 kmph gusting to 180 kmph, it said. The MeT Department has advised all establishments and markets to remain closed in the city and adjoining areas and restriction on movement of people on 20 May. There are high chances of disruption of rail and road link at several places, uprooting of communication and power poles, extensive damage to all types of kutcha houses and some damage to old poorly managed pucca structures and the potential threat from flying objects, the weatherman said, There is also the likelihood of extensive damage to standing crops, plantations and orchards and blowing down of palm and coconut trees, the MeT office said. [caption id=“attachment_1209217” align=“alignleft” width=“380”] Representational image: AP Representational image: AP[/caption] The chief minister said that she along with senior government officials would directly monitor the situation in the state and that she would herself stay put at the state secretariat on Wednesday. She feared that cyclone ‘Amphan’ might cause most of its devastation in the coastal South 24 Parganas district and announced several helpline numbers. On Wednesday, rainfall will occur in most places in the districts of Gangetic West Bengal with heavy to a hefty downpour at a few places in Kolkata, Howrah, East Midnapore, North and South 24 Parganas and Hooghly districts, regional MeT office director G K Das said. “Storm surge of 4 to 5 metres above astronomical tide is likely to inundate low lying areas of South and North 24 Parganas and about 3 to 4 metres over low lying areas of East Midnapore district of West Bengal during the time of landfall,” he said. In view of the situation, the Indian Navy has dispatched a team of divers to assist the West Bengal government in relief operations, a Defence official said. The state government has also formed rapid response teams to ensure that tigers from Sundarbans in South 24 Parganas district do not stray into nearby human settlements after the landfall. Chief wildlife warden Ravi Kant Sinha said a control room has been set up at Gosaba to monitor the situation in the mangrove forests round-the-clock. Haldia Petrochemicals Limited (HPL) and Indian Oil Corporation’s (IOC) refinery in East Midnapore district are on high alert, while Kolkata Port Trust has issued warnings to mariners and stopped movement of all vessels to and from its docks to prevent any damage to port assets and merchant ships, its official said.

QUICK LINKS

Home Video Shorts Live TV