Trending:

The strongest storm of 2022 is coming: All about Super Typhoon Hinnamnor threatening Japan, China

FP Explainers September 1, 2022, 17:54:54 IST

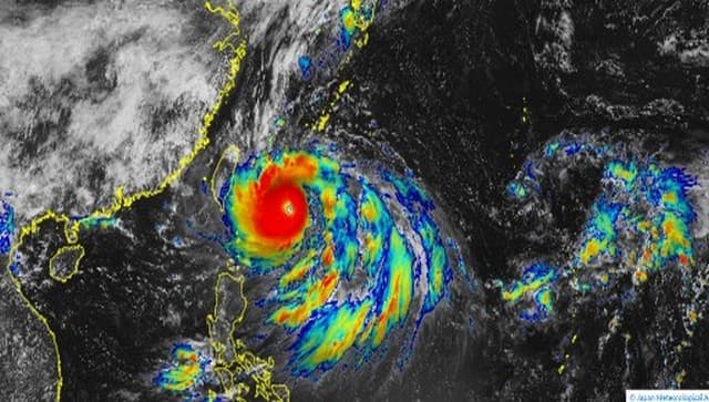
As per Japan Meteorological Agency, the storm has a wind speed of 257 km per hour with gusts of up to 314 km per hour. Typhoon Hinnamnor will bring violent winds to parts of Okinawa in southwestern Japan

Advertisement
The strongest storm of 2022 is coming: All about Super Typhoon Hinnamnor threatening Japan, China

A storm is brewing. That too a big one and it is likely to cause massive destruction in Japan and China. Super Typhoon Hinnamnor is currently whirling across the East China Sea and is expected to threaten countries like Japan, the Philippines and China. According to the Japan Meteorological Agency, the typhoon will be the strongest one in 2022. What is a super typhoon? Typhoons are formed by warm seawater that evaporates and rises before finally condensing into the clouds. According to Channel4, Earth’s rotation causes a cyclone to spin rapidly in the clockwise direction in the southern hemisphere and anti-clockwise direction in the north of the Equator. A typhoon forms an “eye” if it’s extremely strong. In such an event, the air sinks rather than rising into the clouds. The US Joint Typhoon Warning Centre coined the term ‘super typhoon’. It is a kind of storm that reaches sustained wind speeds of at least 240 km per hour. It is equivalent to a category four or category five hurricane in the Atlantic basin. According to the American Red Cross, if a storm occurs above the North Atlantic, central North Pacific or eastern North Pacific oceans, it’s called a hurricane. It’s called a typhoon if a storm hovers over the Northwest Pacific Ocean. How fast is Typhoon Hinnamnor travelling? The storm has a wind speed of 257 km per hour with gusts of up to 314 km per hour, as per the Japan Meteorological Agency. According to the United States Joint Typhoon Warning Centre, the maximum significant wave height is about 50 feet.

Typhoon Hinnamnor will bring violent winds to parts of Okinawa in southwestern Japan. The storm is expected to reach the main island of the prefecture later this week. On Wednesday, powerful winds hit the island of Minami Daitojima in Okinawa Prefecture. According to a report by ANI, gusts of up to 174 km per hour were observed at a local airport. It is anticipated that the typhoon will develop further and winds are projected to intensify on Okinawa’s main island and Sakishima Islands throughout Thursday. However, the super typhoon is likely to lose some of its strength in the coming days. According to China’s Central Weather Bureau, Hinnamnor developed into a typhoon on 29 August. Also read: As Asani intensifies, a look at why and how cyclones are named Which areas will be affected? As per the latest forecast, the typhoon is currently advancing toward Okinawa and will pass the prefecture by 2 September. According to a report by CNBC TV18, its path after passing through Okinawa is uncertain but projections suggest that the typhoon will continue further north toward the Korean peninsula next week. It will also pass Taiwan and the coast of mainland China. What has been the impact so far? Meanwhile, Okinawa flights have been disrupted by the storm, with many airlines suspending operations over the region. [caption id=“attachment_11162071” align=“alignnone” width=“640”] The storm has a wind speed of 257 km per hour with gusts of up to 314 km per hour. AFP[/caption] According to a report by Mint, Japan Airlines Co cancelled flights to and from the region on Wednesday and ANA Holdings Inc said that it has cancelled eight of its flights until Thursday. Officials have advised residents to stay alert for the likely event of evacuation owing to violent winds and high waves. Furthermore, throughout Thursday 150 millimetres of rainfall is expected in Hokkaido, 120 millimetres in Tohoku, 100 millimetres in Tokai and 80 millimetres in the Kansai region. Authorities have issued warnings of mudslides, flooding of low-lying areas and swelling rivers. Also read: Hurricanes, wildfires, tornadoes, floods: Here’s how you can be more weather-ready Have there been other hurricanes this year? Earlier this year in July, tropical storm Bonnie turned into a category one hurricane on the southwest coast of Mexico. According to the US National Hurricane Centre, the hurricane had a wind speed of 130 km per hour. Just a few days later, as Hurricane Bonnie was subsiding, another tropical storm called Hurricane Darby was forming on Mexico’s Pacific coast. The US National Hurricane Centre said that Darby had maximum sustained winds of 65 km per hour and that it posed no threat to the land. With inputs from agencies Read all the  Latest News Trending News Cricket News Bollywood News , India News  and  Entertainment News  here. Follow us on  Facebook Twitter  and  Instagram .

Home Video Shorts Live TV