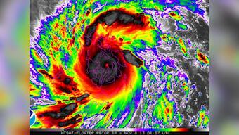
Super strom Typhoon Haiyan today hit Philippines on Friday, forcing millions to flee to safer ground, cutting power lines and blowing away houses. The storm is being touted as the strongest this year and the most powerful ever during landfall. [caption id=“attachment_1218709” align=“alignleft” width=“380”]
Typhoon Haiyan is pictured in this NOAA satellite handout image. Reuters/NOAA[/caption] Here is all you need to know about the storm: * Haiyan is a category-5 super typhoon with 275 kph (170 mph) wind gusts and 5-6 metre (15-19 ft) waves. * The storm bore down on the northern tip of Cebu Province, a popular tourist destination with the country’s second-largest city, after lashing the islands of Leyte and Samar. * More than 12 million people were at risk, including residents of Cebu City, home to around 2.5 million people, and areas still reeling from a deadly 2011 storm and a 7.1-magnitude quake last month. * Two people were electrocuted in storm-related accidents, one person was killed by a fallen tree and another was struck by lightning, said officials. * About a million people have taken shelter in more than 20 provinces, after Philippine President Benigno Aquino appealed to people in Haiyan’s path to evacuate from danger spots, such as river banks, coastal villages and mountain slopes. * The storm’s path includes the resort island of Boracay and other holiday destinations. * In Samar, contact was lost with some towns and villages, said local officials. More than 41,000 people have been evacuated in the province, one of the country’s poorest. * On Bantayan Island, off Cebu’s northern coast, one person was
missing
and another pinned beneath a tree, said Neil Sanchez, head of Cebu’s provincial disaster agency. * Authorities halted ferry services and fishing operations, while nearly 200 local flights had been suspended. Commuter bus services were also stopped as the storm dumped torrential rain, ripped iron roofs off houses and snapped trees. * Twenty navy ships, three C-130 air force cargo planes and 32 military helicopters and aircraft were on standby. * The state weather bureau said Haiyan was expected to exit the Philippines on Saturday and move towards the South China Sea, where it could become even stronger and threaten
Vietnam
or China. With agency inputs
)